Kursy walut NBP: USD 3,98 | EUR 4,32 | CHF 4,53 |

Jesteśmy członkiem:           

Wyszukiwarka
Notes
Zgłoś ofertę
Kalkulator
zgłoś ofertę
Mieszkania
Domy
Działki
Lokale
Obiekty
Szczegóły oferty
Rodzaj oferty
działka budowlana ( sprzedaż )
Numer oferty
438139
Miejscowość
NOWE WARPNO
Cena
216 000 PLN kalkulator
Cena za mkw
180 PLN mkw
Powierzchnia
1200.00 m2
Droga dojazdowa
utwardzona
Opis
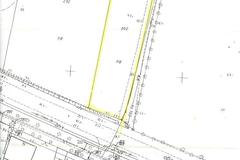
Działka własnościowa w Nowym Warpnie położona w sąsiedztwie głównej asfaltowej drogi ul. Wojska Polskiego i bocznej ulicy Słonecznej wyłożonej polbrukiem oraz istniejącej zabudowy. Zadbane sąsiedztwo. Powierzchnia 1200 m2. 180 zł/m2. W drodze przylegającej do działki jest woda, kanalizacja, prąd. Dla działki nie uchwalono MPZP. Natomiast ujęta jest w studium. Studium przewiduje zabudowę jednorodzinną wolno stojącą do dwóch kondygnacji naziemnych, dach stromy dwuspadowy. Działka o kształcie prostokąta, krótszym bokiem przylega do ulicy głównej, a dłuższym bokiem przylega do ulicy z polbruku. Szerokość działki od 20 do 30 m, długość 50 m. Wjazd od północy lub zachodu. Ogród od południa. Ulica oświetlona. Działka płaska, sucha, bez linii napowietrznych i utrudnień w budowie. W pobliżu zabudowa jednorodzinna wolno stojąca. Ładne otoczenie.

Dodatkowe informacje: kanalizacja, media - prąd, media - woda

Kontakt do agenta

Atalanta Nieruchomości
Marii Konopnickiej 32
71-132 Szczecin
tel.: 914875042
email: info@atalanta.szczecin.pl
fax: 914875031

Wyślij zapytanie

Imię i Nazwisko
Telefon
E-mail
Treść zapytania

Wyrażam zgodę na przetwarzanie moich danych osobowych przez firmę dla celów związanych z działalnością pośrednictwa w obrocie nieruchomościami, jednocześnie potwierdzam, iż zostałem poinformowany o tym, iż będę posiadać dostęp do treści swoich danych do ich edycji lub usunięcia.

Wyślij ofertę

E-mail
© 2026 Atalanta Nieruchomości. Wszystkie prawa zastrzeżone.