Kursy walut NBP: USD 3,98 | EUR 4,32 | CHF 4,53 |

Jesteśmy członkiem:           

Wyszukiwarka
Notes
Zgłoś ofertę
Kalkulator
zgłoś ofertę
Mieszkania
Domy
Działki
Lokale
Obiekty
Szczegóły oferty
Rodzaj oferty
działka ( sprzedaż )
Numer oferty
420521
Miejscowość
BUROWO
Cena
125 000 PLN kalkulator
Cena za mkw
52,08 PLN mkw
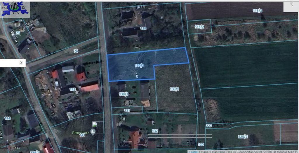
Powierzchnia
2400.00 m2
Droga dojazdowa
asfaltowa
Opis
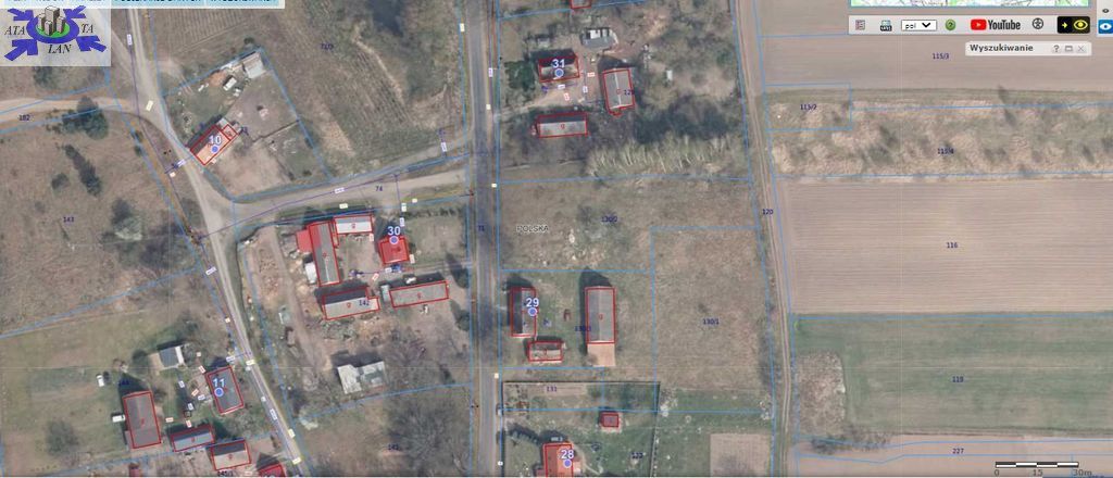
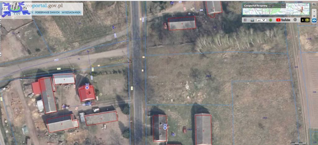
Nieruchomość gruntowa niezabudowana zlokalizowana w miejscowości Burowo, gm. Goleniów, pow. goleniowski, woj. zachodniopomorskie, o powierzchni 2.400m2.
W ewidencji gruntów działka oz. symbolem użytku RVI-grunty orne o pow. 0.1600 ha oraz PsV- pastwiska trwałe o pow. 0.08 ha.
Miejscowośc Burowo oddalona od Goleniowa ok. 12,1 km, droda DW 113.

Działka położona na terenie, gdzie nie obowiazuje miejscowy plan zagospodarowania przestrzennego. Nie leży na obszarze rewitalizacji oraz nie jest objęta uproszczonym planem urządzenia lasu.
Księga Wieczysta-bez obciążeń.

W otoczeniu niniejszej działki istnieje zabudowa mieszkaniowa i gospodarcza.
Działka położona w pierszej linii zabudowy. Dojazd z drogi głównej asfaltowej.
W drodze sieci uzbrojenia podziemnego sieć gazowa, widociągowa. prąd.
Teren płaski, nie zadrzewiona, nie ogrodzona.

Cena ofertowa do negocjacji.

Zapraszam do zapoznania się z niniejszą nieruchomością gruntową.




Dodatkowe informacje: media - prąd, media - gaz, media - woda

Kontakt do agenta

Atalanta Nieruchomości
Marii Konopnickiej 32
71-132 Szczecin
tel.: 914875042
email: info@atalanta.szczecin.pl
fax: 914875031

Wyślij zapytanie

Imię i Nazwisko
Telefon
E-mail
Treść zapytania

Wyrażam zgodę na przetwarzanie moich danych osobowych przez firmę dla celów związanych z działalnością pośrednictwa w obrocie nieruchomościami, jednocześnie potwierdzam, iż zostałem poinformowany o tym, iż będę posiadać dostęp do treści swoich danych do ich edycji lub usunięcia.

Wyślij ofertę

E-mail
© 2025 Atalanta Nieruchomości. Wszystkie prawa zastrzeżone.