Kursy walut NBP: USD 3,98 | EUR 4,32 | CHF 4,53 |

Jesteśmy członkiem:           

Wyszukiwarka
Notes
Zgłoś ofertę
Kalkulator
zgłoś ofertę
Mieszkania
Domy
Działki
Lokale
Obiekty
Szczegóły oferty
Rodzaj oferty
działka budowlana ( sprzedaż )
Numer oferty
430145
Miejscowość
MIERZYN
Ulica
Sezamkowa
Cena
504 350 PLN kalkulator
Cena za mkw
550 PLN mkw
Powierzchnia
917.00 m2
Droga dojazdowa
utwardzona
Opis
Na sprzedaż działka budowlana, w świetnej lokalizacji na Mierzynie blisko nowej szkoły podstawowej.

Media prąd, woda i kanalizacja w drodze przy działce .


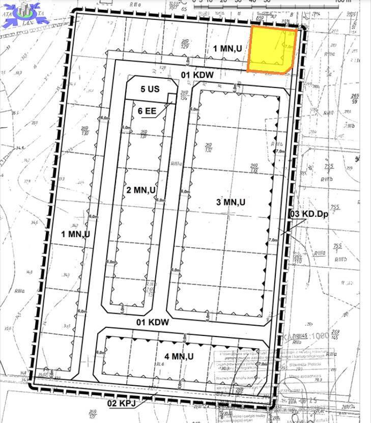
Działka w planie zagospodarowania przestrzennego oznaczona symbolem 1 MN,U przeznaczenie terenu

1.) zabudowa mieszkaniowa wolnostojąca,
- dopuszcza się realizację usług nieuciążliwych w zakresie edukacji, kultury, gastronomii, handlu, usług medycznych, rehabilitacyjnych, kosmetycznych, biura, kancelarie, pracownie, o powierzchni całkowitej nieprzekraczającej 40% powierzchni całkowitej budynku.

2) dopuszczenie realizacji garaży wolnostojących, z wykluczeniem garaży blaszanych
3) wysokość zabudowy
a) maksymalną - 9,5 m, dwie kondygnacje nadziemne, w tym druga kondygnacja w dachu stromym,
b) minimalną - 6,5 m, z wyjątkiem garaży wolnostojących, dla których ustala się minimalną wysokość 4,0 m

4) dachy dwuspadowe lub wielospadowe, o kątach nachylenia głównych połaci dachowych 35 45 dla garaży dopuszcza się dachy, o minimalnych kątach nachylenia głównych połaci dachowych 25

5) dopuszczenie zastosowania dachu płaskiego lub o mniejszym kącie nachylenia połaci dachowych w stosunku do określonego w pkt 4, nad częściami parterowymi budynku mieszkalnego, do 30% powierzchni zabudowy

6) maksymalny wskaźnik powierzchni zabudowy 25% powierzchni działki budowlanej
7) intensywność zabudowy, rozumiana jako wskaźnik powierzchni całkowitej zabudowy (wszystkich kondygnacji nadziemnych) w odniesieniu do powierzchni działki budowlanej
a) maksymalna - 0,50,
b) minimalna - 0,07
8) minimalny wskaźnik powierzchni biologicznie czynnej - 40% powierzchni działki budowlanej.


Nieruchomość w świetnej lokalizacji, blisko nowej Szkoły i przedszkola, oraz sklepów, apteki, komunikacji miejskiej.
Oferta na wyłączność.

Zapraszam na prezentację



Dodatkowe informacje: kanalizacja, media - prąd, media - gaz, media - woda

Kontakt do agenta

Atalanta Nieruchomości
Marii Konopnickiej 32
71-132 Szczecin
tel.: 914875042
email: info@atalanta.szczecin.pl
fax: 914875031

Wyślij zapytanie

Imię i Nazwisko
Telefon
E-mail
Treść zapytania

Wyrażam zgodę na przetwarzanie moich danych osobowych przez firmę dla celów związanych z działalnością pośrednictwa w obrocie nieruchomościami, jednocześnie potwierdzam, iż zostałem poinformowany o tym, iż będę posiadać dostęp do treści swoich danych do ich edycji lub usunięcia.

Wyślij ofertę

E-mail
© 2025 Atalanta Nieruchomości. Wszystkie prawa zastrzeżone.