Kursy walut NBP: USD 3,98 | EUR 4,32 | CHF 4,53 |

Jesteśmy członkiem:           

Wyszukiwarka
Notes
Zgłoś ofertę
Kalkulator
zgłoś ofertę
Mieszkania
Domy
Działki
Lokale
Obiekty
Szczegóły oferty
Rodzaj oferty
działka budowlana ( sprzedaż )
Numer oferty
427479
Miejscowość
SZCZECIN, WARSZEWO
Ulica
Rostocka
Cena
821 100 PLN kalkulator
Cena za mkw
850 PLN mkw
Powierzchnia
966.00 m2
Droga dojazdowa
z kostki brukowej
Opis
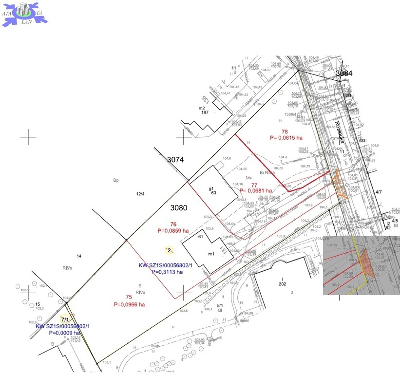
Do sprzedania działka budowlana położona w bardzo atrakcyjnym miejscu na Warszewie w Szczecinie z dojazdem od ul. Rostockiej.
Na zdjęciu nr2 pokazana jest przedmiotowa działka . Jest to czwarta działka od ul. Rostockiej za działką zabudowaną domem.
Na terenie na którym znajdują się działka obowiązuje Miejscowy Plan Zagospodarowania Przestrzennego, który m.in. określa następujące warunki dla tych działek

Zabudowa jednorodzinna.
Minimalny udział terenu powierzchni biologicznie czynnej minimalnie 50% powierzchni działki budowlanej.
Nieprzekraczalne linie zabudowy oznaczone na rysunku planu
Maksymalna powierzchnia zabudowy na działce budowlanej 30%
Maksymalna wysokość budynków mieszkalnych 3 kondygnacje naziemne , w tym 3 kondygnacja użytkowa w stromym dachu nie więcej niż do wysokości 12 m liczonej do kalenicy
Forma budynków -wolnostojące
Budynki kryte dachami stromymi
Zakaz zmiany kompozycji budynku historycznego oznaczonego na rysunku planu (budynek gospodarczy)-Jest pozwolenie na wyburzenie tego budynku.

Zapraszam na prezentację
Oferta biura nieruchomości

Dodatkowe informacje: kanalizacja, media - prąd, media - gaz, media - woda

Kontakt do agenta

Atalanta Nieruchomości
Marii Konopnickiej 32
71-132 Szczecin
tel.: 914875042
email: info@atalanta.szczecin.pl
fax: 914875031

Wyślij zapytanie

Imię i Nazwisko
Telefon
E-mail
Treść zapytania

Wyrażam zgodę na przetwarzanie moich danych osobowych przez firmę dla celów związanych z działalnością pośrednictwa w obrocie nieruchomościami, jednocześnie potwierdzam, iż zostałem poinformowany o tym, iż będę posiadać dostęp do treści swoich danych do ich edycji lub usunięcia.

Wyślij ofertę

E-mail
© 2025 Atalanta Nieruchomości. Wszystkie prawa zastrzeżone.